钱塘这些项目迎来新节点
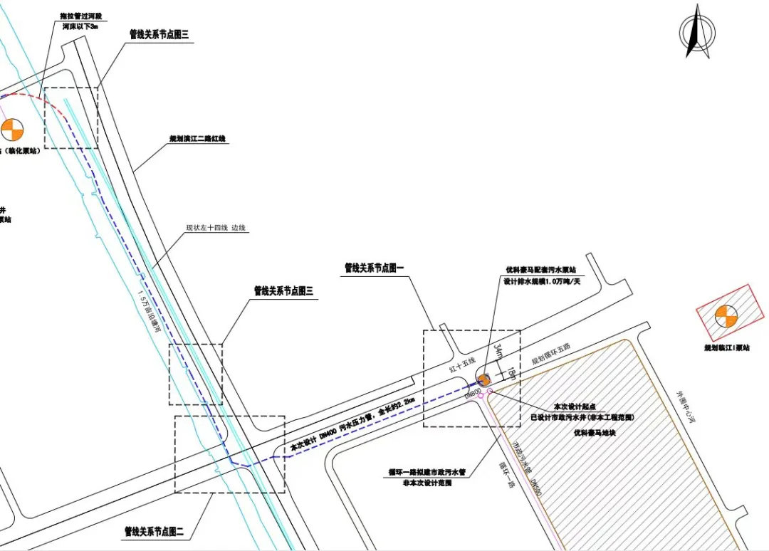
优科豪马区块配套污水压力管项目顺利完工
近日,优科豪马区块配套污水压力管项目顺利完工。

项目位于临江街道,起点为循环五路市政污水检查井,终点衔接至临江F泵站北侧现状市政污水检查井。建设内容包括新建一体化污水泵站1座、污水格栅闸门井1座,以及总长约1.88km的污水压力管道。
项目建成后,将为企业投产运行提供坚实的环保基础设施保障,进一步完善区域污水收集处理体系。
东一路(四工段横河-江东四路)二期顺利完工
近日,东一路(四工段横河-江东四路)二期顺利完工。

项目位于前进街道,北起四工段横河,南至江东四路,道路全长约489m,总宽约32m,道路等级为城市支路,设计车速40km/h,双向四车道,采用沥青混凝土路面。建设内容主要包括对东侧道路拼宽,对西侧已建道路雨水支管、雨水口、污水支管改造和新建及沥青面层铣刨重铺。
项目建成后,将有效提升区域交通出行效率,为沿线企业提供更加便捷的出行环境。
永丰110千伏输变电工程土建工程顺利完工并投产
近日,永丰110千伏输变电工程土建工程顺利完工并投产。


项目位于河庄街道,工程整体由永丰变连接线和江东大道贯通线两段线路组成,建高标准四回路电力管沟约1.4km。
项目建成后,将显著优化区域电网结构,有效满足周边用户的用电需求,为区域发展提供坚实能源支撑。
华威西侧道路延伸段工程顺利完工
近日,华威西侧道路延伸段工程顺利完工。

项目位于临江街道,北起南新河,南至建成段华威西侧规划支路,道路全长约202m,总宽约18m,道路等级为城市支路,设计车速20km/h,双向二车道,采用沥青混凝土路面。建设内容主要包括对建成段华威西侧规划支路延伸,对已建道路雨水支管、雨水口、污水支管延伸以及沥青道路延伸。
项目建成后,将提升道路的功能性和美观性,为沿线企业提供更加安全、便捷的出行环境。
义府大街北侧支路(艮山东路-义府大街)项目顺利开工
近日,义府大街北侧支路(艮山东路-义府大街)项目顺利开工。

项目南起义府大街,北至艮山东路,全长约432m,标准段宽18m,道路等级为城市支路,设计车速30km/h。建设内容包括道路、排水、交通设施、路灯、绿化及综合管线等附属设施。
项目建成后,将进一步完善钱塘区内交通路网结构,提升区域通行效率,为周边区域发展注入新活力。
下一步,建投集团下属城建集团将继续压实责任、细化举措,以更高标准、更严要求推进项目建设,为区域经济社会高质量发展贡献国企力量。
记者:张楠楠
通讯员:祝凯伦
